La hachette

Aglia tau

Peu commun
La hachette — photo 1 La hachette — photo 2 La hachette — photo 3 La hachette — photo 4

Description

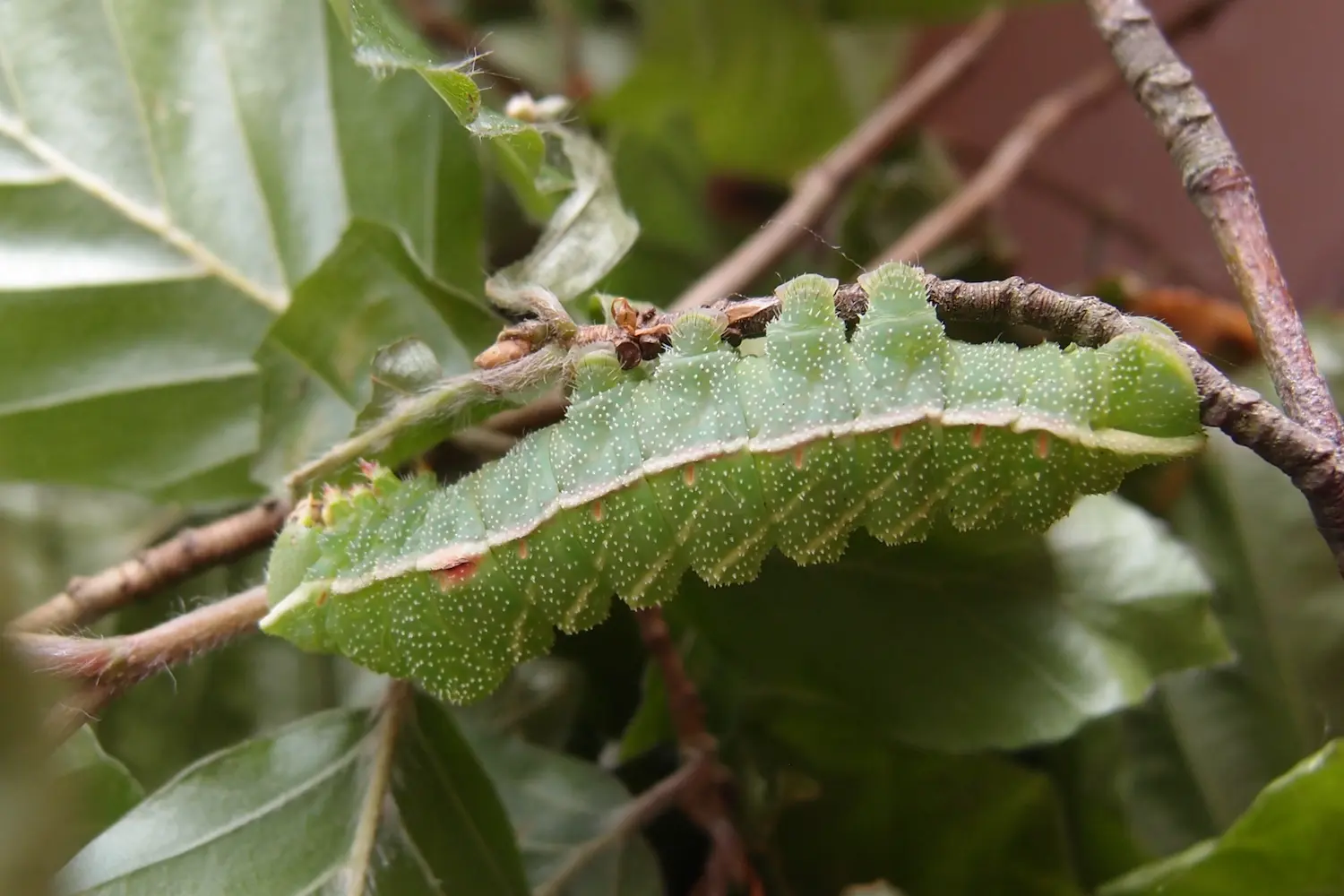
Les jeunes chenilles possèdent des scoli (cornes) blancs et rouges. La chenille au dernier stade perd ses scoli. Corps vert et ondulé.

Informations

FamilleSaturniidae
Taille4–5 cm
Pilositéglabre
PériodeMai à août
DistributionPresque toute l'europe. En France, partout où pousse le Hêtre à l'exception du pourtour méditerannéen.
ToxicitéNon
RaretéPeu commun

Plantes hôtes

  • Hêtre
  • Chêne
  • Bouleau
  • Tilleul

Remarques

La chenille au dernier stade perd ses cornes proéminentes et devient simplement verte.

🔍 Identifier une autre chenille